کشف حفره‌های عجیب و رازآلود در اعماق اقیانوس!

کشف حفره‌های عجیب و رازآلود در اعماق اقیانوس!
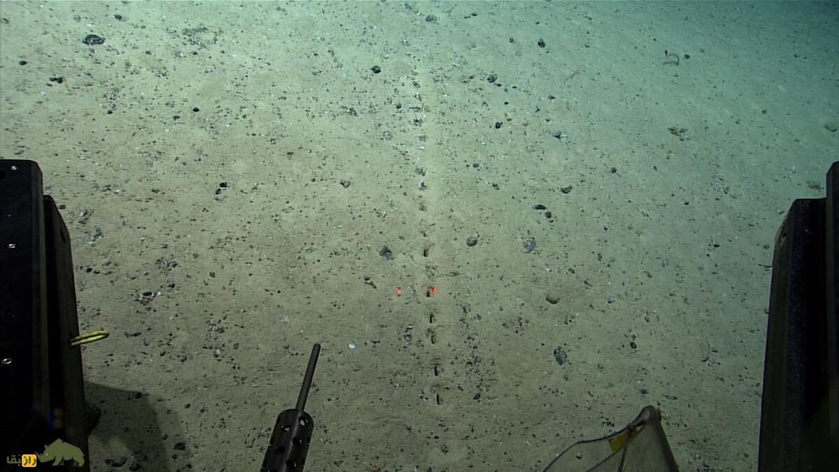
«اگرچه این حفره‌ها ظاهرا به‌دست انسان ساخته شده‌اند، اما توده‌های کوچک رسوبات در اطراف حفره‌ها باعث می‌شود اینطور به نظر برسد که چیزی آن‌ها را حفاری کرده است»

راز بقا: دانشمندان به طور تصادفی به مجموعه‌ای از حفره‌های منظم در کف اقیانوس اطلس برخورد کرده‌اند که ظاهرا به‌وسیله انسان ساخته شده، اما منشأ آن‌ها همچنان رازآلود و مبهم است.

به گزارش راز بقا؛ پژوهشگرانی که در کشتی «اوکئانوس اکسپلورر» (Okeanos Explorer) اداره ملی اقیانوسی و جوی (NOAA) در حال کاوش و بررسی‌اند، می‌گویند این حفره‌های «کاملا هم تراز» که پیش از این در منطقه گزارش شده بودند، روز ۲۳ ژوئیه کشف شدند.

«سازمان اکتشاف اقیانوسی اداره ملی اقیانوسی و جوی» از عموم مردم دعوت کرده است تا فرضیه‌های خود را در مورد چگونگی تشکیل این حفره‌ها ارائه دهند.

ما در جریان جست‌وجوی زیر آب روز شنبه «اوکئانوس»، چندین مورد از این مجموعه‌های پشت سر هم از حفره‌ها را در میان رسوبات مشاهده کردیم. این حفره‌ها قبلا هم در این منطقه گزارش شده بودند، اما منشأ آن‌ها همچنان رازآلود باقی مانده است.

این سازمان فدرال می‌گوید: «اگرچه این حفره‌ها ظاهرا به‌دست انسان ساخته شده‌اند، اما توده‌های کوچک رسوبات در اطراف حفره‌ها باعث می‌شود اینطور به نظر برسد که توسط... چیزی [یا موجودی]حفاری شده‌اند.»

دانشمندان در جریان جست‌وجوی زیر آب روز شنبه، هنگام بازدید از قله یک آتشفشان زیر آب در شمال [مجمع الجزایر]آزور - منطقه خودمختار پرتغال در میانه اقیانوس اطلس- به کاوش در عمق حدود سه کیلومتری کف اقیانوس پرداختند.

آن‌ها برای ثبت و ضبط این حفره‌های مرموز از یک دوربین کنترل از راه دور استفاده کردند.

این کشف طی ماموریت اعزام «وویاج تو د ریج ۲۰۲۲» (Voyage to the Ridge ۲۰۲۲) کشتی اوکئانوس انجام شد که در جریان آن دانشمندان در حال کاوش و نقشه‌برداری از «مناطق کمتر شناخته شده در اعماق آب‌های منطقه «گسل چارلی-گیبز»، «خط الراس میانی اقیانوس اطلس [یا به‌اصطلاح خط الراس میانی آتلانتیک]» و «فلات آزور» هستند.»

به گفته «اوشن اکسپلوریشن» اداره ملی اقیانوسی و جوی (NOAA): «ما در خلال جست‌وجوی زیر آب [شماره]۰۴ از دومین [بخش برنامه اکتشافی]«وویاج تو د ریج ۲۰۲۲»، چندین مورد از این مجموعه‌های زیرخطی حفره‌ها را لابلای رسوبات مشاهده کردیم.»

این اداره فدرال در پست فیس‌بوک خود، تصاویری از این کشف جدید را به اشتراک گذاشته و از مردم دعوت کرده است تا گمانه‌زنی‌های خود دراین‌باره را ارائه دهند. «فرضیه شما چیست؟.»

منطقه مورد مطالعه در این سفر اکتشافی، شامل «خط الراس میانه اقیانوس اطلس» - محل وقوع زمین‌لرزه‌های مکرر - منطقه‌ای به طول بیش از ۱۶ هزار کیلومتر که از شمال به جنوب امتداد یافته است.

بر اساس گزارش اداره ملی اقیانوسی و جوی (NOAA)، این کوه «طولانی‌ترین رشته‌کوه در جهان است و یکی از برآمده‌ترین عوارض ژئولوژیک روی زمین» محسوب می‌شود.

دانشمندان می‌گویند بخش بزرگی از این خط الراس در زیر آب قرار دارد و تا حد زیادی ناشناخته باقی مانده است.

+ پیشنهاد مطالعه: با آسانسور اعماق اقیانوس که یک موجود عجیب است هم هم آشنا شوید.

عملیات نقشه‌برداری و جست‌وجوی زیر آب به‌وسیله دانشمندانی که بخشی از این مأموریت اکتشافی‌اند و با استفاده از یک سیستم وسیله نقلیه از راه دور برای کاوش در پشته اقیانوس اطلس میانی (شمال آزور) و فلات آزور انجام خواهد شد.

دانشمندان می‌گویند این مأموریت، داده‌هایی را برای درک تنوع و گستردگی مجموعه‌های مرجانی و اسفنجی در اعماق دریا در امتداد خط الراس میانی اقیانوس اطلس، فلات آزور و ناحیه گسل چارلی-گیبز در اختیار ما قرار می‌دهد.

اداره ملی اقیانوسی و جوی (NOAA) خاطرنشان می‌کند: «پژوهش‌های اخیر به‌طور چشمگیری به شناخت و ارزیابی ما از مرجان‌ها و اسفنج‌ها کمک کرده است، اما هنوز در مورد توزیع، تنوع، تولیدمثل و انعطاف‌پذیری آن‌ها، ناشناخته‌های بسیاری وجود دارد که به‌ویژه در مناطق کشف نشده و ناشناخته در آب‌های عمیق، نیازمند کاوش و بررسی است.»

طبق اعلام اداره ملی اقیانوسی و جوی (NOAA)، تمرکز اصلی در ماه آینده بر عملیات نقشه‌برداری بر روی فلات آزور و خط الراس میانی اقیانوس اطلس - جنوب آزور – خواهد بود.

آن‌ها می‌گویند: «انتظار داریم در طول این جست‌وجو‌های زیر آب، زیست‌گاه‌های مرجانی و اسفنجی در اعماق دریا، دریچه احتمالی هیدروترمال، سیستم‌های سولفیدی پلی‌متالیک (چندفلزی) از بین رفته، مناطق دارای گسل و شکاف و ستون‌های آب را کشف کنیم.»

برچسب ها :
اقیانوس
خواندنی‌ها
ارسال نظر
دنیای گیاهان
علم و کیهان
وب گردی
جدیدترین تصاویر بازیگران سینما و تلویزیون ایران
جدیدترین خبرها از حمله اسرائیل